网站支持IPv6
当前位置:首页 公示公告 > 旺苍县自然资源局关于兴旺佳苑建设项目设计方案及经济技术指标的公示
旺苍县自然资源局关于兴旺佳苑建设项目设计方案及经济技术指标的公示
发布时间:2020-09-17 来源:县自然资源局 点击量:11108 [ 字体: ] 打印 分享:

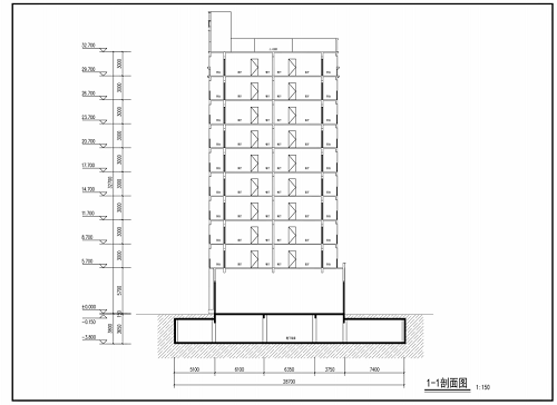
拟建项目位于旺苍县新桥片区,三洋汽修厂西侧,土地使用人为杨巧,项目占地面积约1330平方米(约1.995亩)。拟建方案总建筑面积为5047.96平方米,其中地上建筑面积4080.32㎡,地下建筑面积为967.64㎡,建筑层数10+1层。拟建方案经济技术指标为:建筑占地面积538.78㎡,容积率3.068,绿地率28.5%,建筑密度40.51%,总户数36户,停车位26辆。

根据《中华人民共和国行政许可法》、《中华人民共和国城乡规划法》、《四川省城乡规划条例》、《关于城乡规划公开公示的规定》的规定,我局在县政府网站、建设项目现场、自然资源局公示栏予以公示。拟建方案公示时间2020年9月17日至2020年9月25日。敬请利害关系人以及广大市民在公示期内对该项目建设相关事项向我局提出书面意见或建议,也可于5日内向我局提出听证申请。联系电话0839-4315042,联系人:米鑫荣。 

特此公示

1.建设方案总平面布置图及经济技术指标

2.建设方案效果图

3.建设方案立面图

4.建设方案剖面图

5.建设方案日照分析图


                                                                       旺苍县自然资源局         

                                                             2020年9月17日