一、基本情况
2023年5月,市应急管理局综合执法大队会同旺苍县应急管理局、旺苍经开区组织省工贸行业专家对尚武家居产业园开展了工贸行业领域专项执法检查,判定“厂房内设置油漆存储间、危废暂存间”为重大安全隐患。为尽快完成尚武家居产业园重大安全隐患整改销号,促进家居企业安全规范生产,建设本项目。
二、公示主要内容
拟建方案综合总经济技术指标为:总用地面积105287.74㎡;占地面积41754.42㎡;总建筑面积178072.42㎡,其中,公共服务用房14685.00㎡,生活服务用房20276.00㎡,生产厂房142850.00㎡,门卫管理72.00㎡,油漆、危废库房189.42㎡;容积率1.841;绿地率11.42%;建筑密度43.90%;倒班房400套;停车位253辆,其中,室内停车位(小车)90辆,室外停车位(小车)128辆,中停车位(大车)35辆。
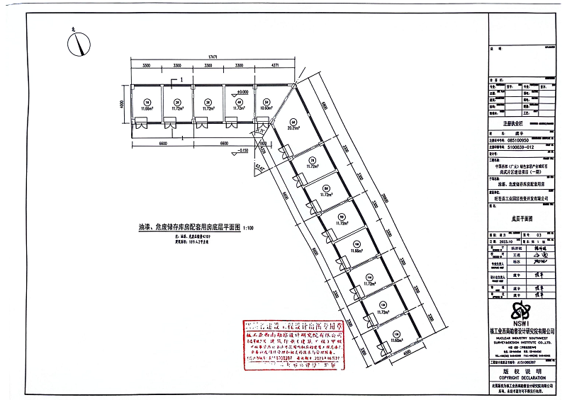
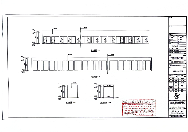
本次主要建设内容为新建建筑油漆、危废库房189.42㎡。
三、公示说明
(一)公示依据:《中华人民共和国城乡规划法》、《四川省城乡规划条例》;
(二)公示时间:2023年11月13日至11月21日;
(三)公示地点:旺苍县人民政府网站、旺苍县自然资源局公示栏、项目现场;
(四)反馈意见方式:敬请利害关系人以及广大市民在公示期内对该项目建设相关事项向我局提出书面意见或建议,并留下真实姓名和联系方式。
1.来信请寄至:旺苍县西凤巷104号,旺苍县自然资源局,邮政编码:628200
2.联系电话:0839-4315042
附件:1.建设方案总平面布置图
2.建设方案经济技术指标
3.库房一层平面图
4.库房立面图
旺苍县自然资源局
2023年11月13日
1.建设方案总平面布置图

2.建设方案经济技术指标

3.库房一层平面图

4.库房立面图